아하
  • 토픽

  • 스파링

  • 잉크

  • 미션


인일시지분 면백일지우

인일시지분 면백일지우

오늘 아침부터 애가 갑자기 강아지 혀가 파래지고 복부가 엄청 단단해지고 똥을 싸고 (정상변) 과호흡이 온 경우는 무슨 경우인가요? 애가 안절부절

반려동물 종류

강아지

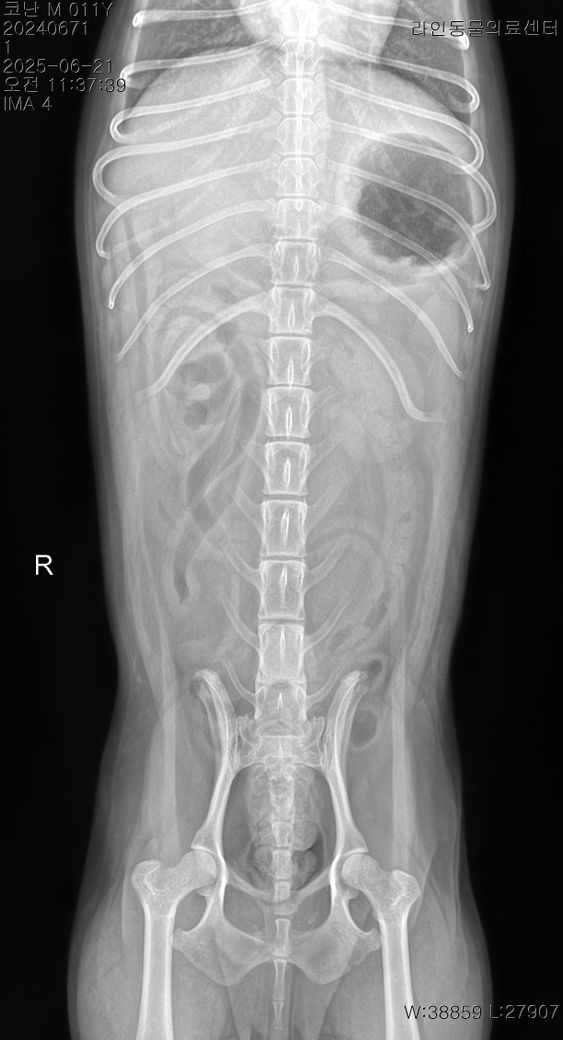
밤에는 멀쩡하다가 오늘 아침부터 애가 갑자기 강아지 혀가 파래지고 복부가 돌처럼 엄청 단단해지고 똥을 싸고 (정상변 5덩어리) 과호흡이 온 경우는 무슨 경우인가요? 애가 안절부절못하면서 집안을 돌아다니면서 혀를내밀고 헥헥거리며 그래서 24시 응급으로 동물병원에선 피검사는 안하고 그냥 엑스레이만 찍었는데 장염이 있다고 하는거같고 변이

안에 있다하는데 별다른 처치를 안하고 돌려보내길래 집에 와서보니 애가 멍해지고 밥을 현재 오후 1시간 이 다되가는데 한끼도 안먹었고 그저 낑낑만 거리고 앉아만있는데 대체 이유가 무엇일까요? 폐는 괜찮다하고 심장병이 있긴한데 심잡음도 별로 안들린다고 그냥 돌려보냈는데 배는 다시 물렁해졌고 헥헥 거림도 신기하게 없어졌고 혀만 약간 보라색빛이 납니다 뭘해야할지도 모르겠고 이게 맞는지도 모르겠습니다

특이사항은 애가 췌장염도 있고 심장병도 있고 장도 안좋고 위에 가스가 찼다고 합니다

그리고 원래 아침부터 밥달라던애가 희한하게 요즘 11시가 되도록 밥을 안찾고 억지로 먹는 그런 느낌도 있고 또 저녁에는 밥을 계속 미친듯이 달라고 또 달라고 짖습니다 그리고 복명음이 들린지 거의 6개월은 넘은거같은데 복명음이 심하게 들립니다 포피염도 있고 노란 고름이 나오며 애가 어느순간부터 실외배변을 고집하고.. 변이나 오줌을 참는 습관이있고 애가 소화력이 약해졌는지 애가 배가 단단해지면 산책을 10분 정도 시켜주면 배가 다시 물렁해집니다 헌재는 허리디스크 때문에 가바펜틴과 엔세이드 근이완제를 먹이고 있고 허리디스크 때문에 산책은 전혀 안해주고 있으며 엑스레이상 가스와 변이 있는 상태인데(아침에 5덩어리의 변을 누었음에도) 왜 이렇게 소화기가 문제인지를 도무지 이유를 모르겠습니다 11살 토이푸들입니다 그리고 식이알러지 증상도 있습니다 (한쪽 턱을 긁는다던지, 귀를 긁는다던지 발을 빤다던지 하는 증상) 마지막으로 애가 밤만되면 꼭 이불을 이유없이 하루 종일 빨아서 이불이 항상 침으로 범벅이 되있습니다 (이것도 거의 근 반년은 된거같습니다) 어제 밤은 입맛을 살짝 쩝쩝 다셨으나 별 다른 증상은 없었습니다 병원에 가도 하는건 없고 그냥 산소방에 넣어두고 엑스레이찍고 청진하고 이게 다인제 이게 맞는 처치인지도 모르겠고 약 하나 주사하나 뭐 하나 조치가 취해진게 아무것도 없는 상황입니다 제발 예측이 되는 질병들이 있으면 알려주세요 심잡음은 약하게 들린다하여 b1 같다고 합니다 그리고 포피에는 노란 농이 나오고 있고 만지려고 하면 엄청 신경질적으로 변하는데 이 경우 장도 저렇게 안좋은데 포피염 항생제를 처방받아야할지 이것도 감도 안옵니다.

담당 수의사한테 물어보세요 이러지마시고 이미 병원도 다녀오고 약처방 하나 받은것이 없으니 제발 부디 의견 부탁드립니다. 근데 신기한게 병원에서 산소방에만 한 30분~ 1시간 가량 있었습니다 그랬더니 바로 딱딱해진 배도 물렁해지고 헥헥 거리는것도 없어지고 식욕도 돌아오고 집에와서 변도 (아주 극소량) 찔끔 누었는데 다만 기운이 좀 없어보이는데.. 이렇게 배가 딴딴해졌었고 (돌맹이처럼) 복명음이 아주 심하게 들리고.. 애가 똥마려운것처럼 미친듯이 집안을 뒤지고 다니고 안절부절못하고 이런 경우 선생님께선 췌장염이나 부정맥이나 폐성고혈압이나 신부전 이나 전신 염증이 있다고 보시는건가요? 담당의 분은 엑스레이 그리고 청진한번 보시더니 해줄것이 없다하는데 뭘 어떻게 해야할지도 모르겠습니다. 다른 병원에 전화해보면 모르겠다고하고 전 어떻게 해야할까요..? 그리고 포피에는 노란 농이 나오고 있고 만지려고 하면 엄청 신경질적으로 변하는데 이 경우 장도 저렇게 안좋은데 포피염 항생제를 처방받아야할지 이것도 감도 안옵니다. 마지막으로 배가 저렇게 딱딱해졌는데 배가 딱딱해진건 아주 간헐적으로 봣어도 혀까지 보라색이 될정도는 처음봐서 여쭤봅니다.. 그리고 원래는 애가 밥을 아침 6시-7시만 되면 달라고 절 아침마다 깨웠었는데요.. 오늘은 특이하게 11시가 되도록 밥달라고 안하길래 확인해보니 저희 가족과 방에서 자고있는데 방 문을 안열어줘서 그런지 제가 문을 열어주니 그때부터 저 이상 증상이 다 생겼습니다. 가족은 자고 있어서 몰랐던건지 아니면 뭔지는 모르겠습니다 다만 문을 열어주니 제 기억이 맞다면(하도 정신이없어서) 바로 변을 5덩어리 정상변을 누었고 애가 안절부절 못하면서 온집안을 다 뒤지면서 혀를 내밀고 헥헥헥헥 거리면서 배는 돌덩이 처럼 단단해지고 한시도 가만히있지를 못하는 그런 증상이였습니다 그래서 바로 병원에 대려갔더니 산소방에 30분~1시간 넣어뒀더니 애가 멀쩡졌는데 이유를 모르겠습니다. 혈액검사를 요청하니 엑스레이나 호흡수상 혈액검사 안해도 된다고 하여 그냥 집으로 약처방 아무것도 없이 그냥 온 상황입니다. 마지막으로 혹시 애가 알러지 증상도 요즘 생겼는데 (발로 턱을 긁거나, 귀를 엄청 긁거나, 고추를 미친듯이 햙거나 하는등의 증상들도 요즘 생겼습니다) 혹시 이 때문일수도 있나요??

아직 답변이 없어요.