강아지 젖꼭지 옆에 뭐가 났는데 종양인가요?

반려동물 종류

강아지

품종

믹스견

성별

암컷

나이 (개월)

13살

몸무게 (kg)

5

중성화 수술

1회

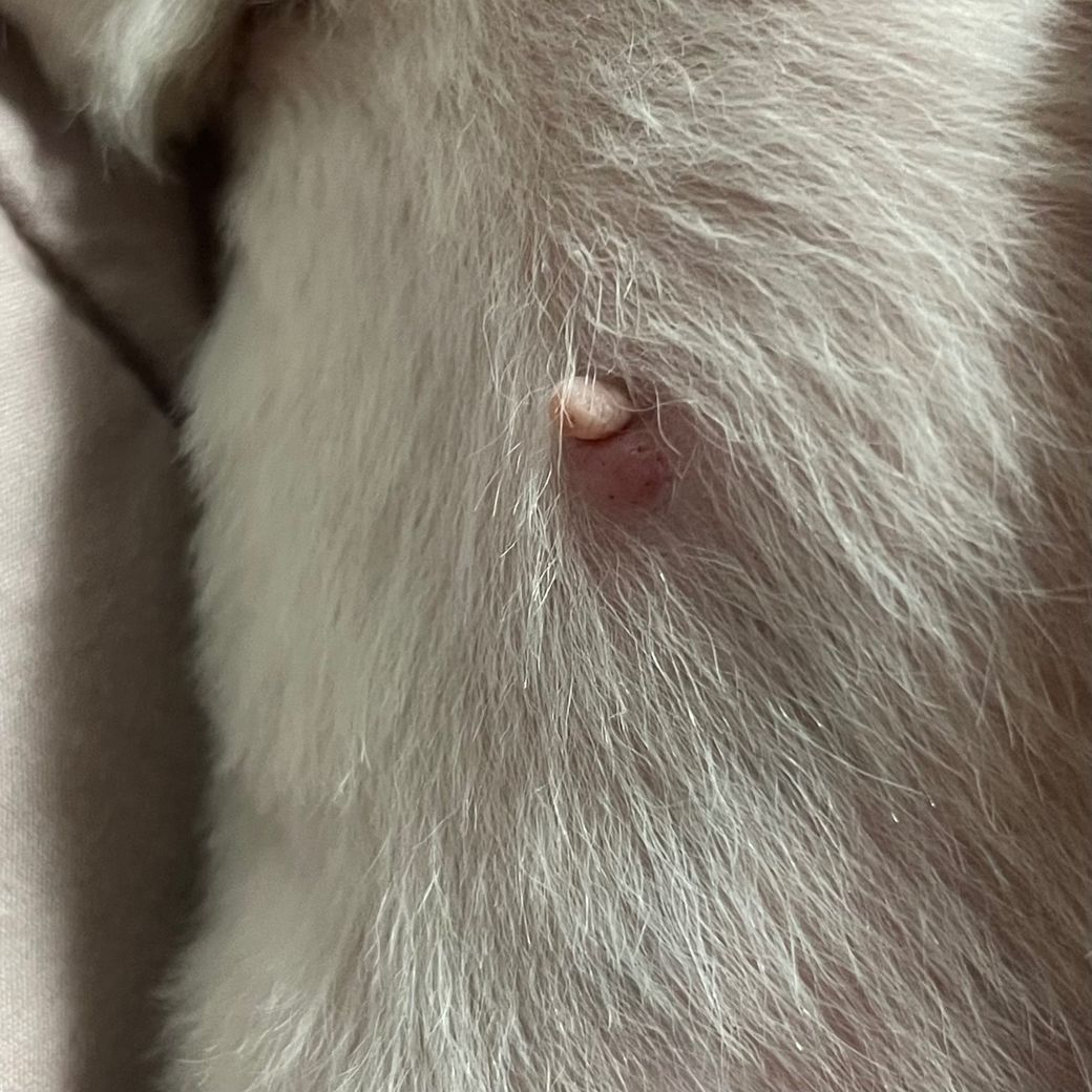
저희집 강아지 젖꼭지 바로 옆에 빨갛게 부은듯 뭐가 났는데 혹시 종양일까요..? 아파하지는 않습니다. 병원에 바로 데려가야할까요? 아니면 1-2일 좀 지켜봐야 할까요?

1개의 답변이 있어요!

  • 안녕하세요. 이은수 수의사입니다.

    몸에 어떤 덩어리가 생기면

    1. 종양

    2. 농양

    3. 육아종

    4. 혈종

    중의 하나로 여깁니다. 사진으로 볼때 2와 4의 가능성은 낮아보이나 1과 3의가능성은 모두 살아 있기에 검진을 받아봐야 하니 동물병원에 데려가서 확인 받으시기 바랍니다.