강아지 슬개골탈구.무릎염증 x-ray 판독부탁드립니다.

반려동물 종류

강아지

품종

비숑

성별

수컷

나이 (개월)

6

몸무게 (kg)

9

중성화 수술

1회

한달전부터 왼쪽 앞다리를 들고 발을 딛기 어려웠다가 괜찮아 지더니 이제는 왼쪽 뒷다리를

깽깽이발이나, 절뚝거리는 행동을 보이기 시작하여 여러 병원을 다니고 있습니다.

요 며칠 계속 왼쪽 뒷다리를 절뚝이니까 다시 왼쪽 앞다리도 제대로 딛질 못하고 있어요.. 그래서 한달동안을 여러 병원 다니고 있는데 병원마다

내용들이 다릅니다ㅠㅠ

어느 병원에서는 고관절 문제로 줄기세포 주사를 맞았고

어느 병원에서는 무릎인대 문제라고 하셨고

어느 병원에서는 아무 문제 없어서 면역체계가 무너져 무릎쪽에 그 면역체들이 공격하여 아픈걸수도 있다고 스테로이드 권유를 하시더라구요

정확히 어디가 아픈지 모르니 너무 속상합니다...

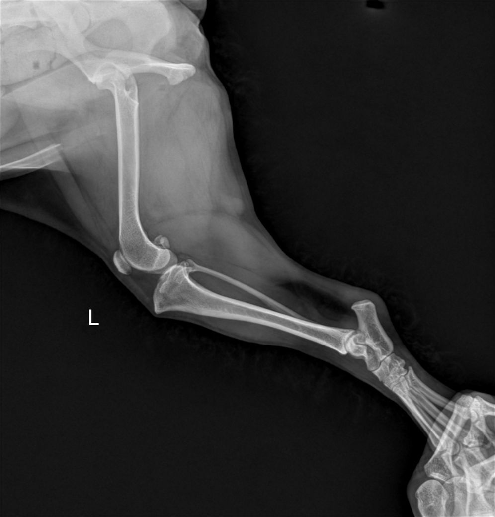
엑스레이 사진 보고 강아지 상태 판독 부탁드립니다

1개의 답변이 있어요!

  • 안녕하세요. 이은수 수의사입니다.

    제시된 사진에서는 우측 슬과절 관절낭의 종창 즉, 물이 찬 현상이 있습니다. 이런 현상이 일어나는 원인에는 인대의 문제일 수도 있고, 면역계통의 문제일 수도 있습니다. 특히 이런 물이 찬 상태는 개에서는 십자인대가 손상이 있을때 나타나는 주요 현상으로 스테로이드와 같은 소염작용이 있는 약물을 투약하면 일시적으로 개선될 수 있습니다. 다만 십자인대가 점차 뻣뻣해지면서 향후 십자인대 단열이 발생할 가능성이 높아지니 TPL을 낮추는 수술을 선행적으로 해줄 필요가 있습니다.

    사진상에서 실제 좌측에 비해 우측의 TPL이 증가한 양상이 명확하게 관찰되니 주치의와 상담 후 TPLO 고려하시기 바랍니다. ㅈ