아하
  • 토픽

  • 스파링

  • 잉크

  • 미션


편안한두견이100

편안한두견이100

강아지 콧줄고정 호치케스 위치????

반려동물 종류

강아지

품종

폼피츠

성별

암컷

나이 (개월)

7

몸무게 (kg)

3.02

중성화 수술

1회

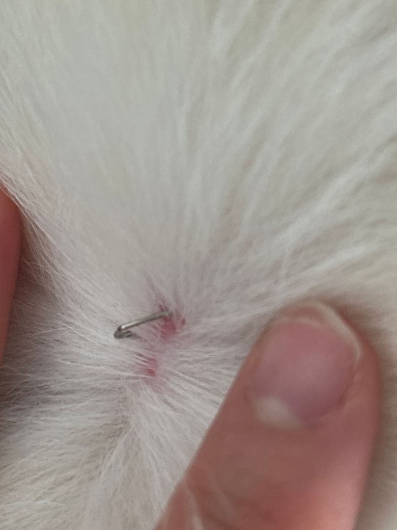
강아지가 췌장염으로 밥을먹지 않아서 콧줄을 달았는데

콧줄이 빠져서 때어주려고 보니까 이마쪽에 호치케스가 살애 박혀있는데 원래 그런건가요??

2개의 답변이 있어요!

  • 박주찬 수의사

    박주찬 수의사

    프리랜서

    안녕하세요. 박주찬 수의사입니다.

    콧줄이 빠지지 않게 봉합용 스테이플러로 장착했나보네요

    조심히 조작해서 뽑아볼 수 있겠지만, 힘드시면 병원 가셔서 제거 해주시는 것이 좋을듯 합니다.

  • 안녕하세요. 이은수 수의사입니다.

    예, 살에 박는게 잘 장착한 것입니다. 털에 박으면 아무런 효과도 없고 잘못 장착한것입니다.