강아지 배에사 이상한게 니왔어요….

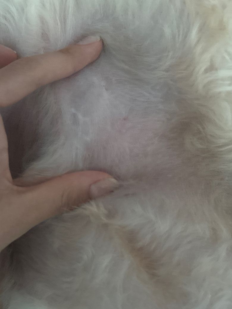
오늘 강아지 배를 쓰다듬어 주다가 배에 이상한 검은색 먼지가 붙어있더라고요 그래서 뜯어주랴고 했는대 털에 엉켜 붙어있는개 아니라 피부 안에서 쑤욱 하면서 뽑히더라고요 뽑을 때 살짝 버둥거리기는 했지만 막 아파하지는 않았거요 뽑고 난 뒤에 보일락 말락한 상처? 뽑고 난 흔적? 같은게 생걌어요 피지 같은 갈까여? 아니면 피부병 일까요? 처음에는 기생충 인줄 알았는데 최근에 더워서 산책을 오래 나간 적이 별로 없기도 하니까 그건 아난 것 같아서요

1개의 답변이 있어요!

  • 강아지 배에서 검은색 이물질이 뽑히고 작은 상처가 남았다면 피지가 산화되어 생긴 블랙헤드일 가능성이 있습니다. 강아지도 사람처럼 피지선이 발달한 부위에 블랙헤드가 생길 수 있으며, 특히 배나 겨드랑이처럼 접히는 부위에 흔하게 나타납니다. 하지만 기생충 감염이나 다른 피부 질환의 가능성도 배제할 수는 없으므로, 정확한 진단을 위해서는 동물병원에 방문하여 수의사에게 진찰을 받아보시는 것이 가장 좋습니다.