아하
  • 토픽

  • 스파링

  • 잉크

  • 미션


외로운친칠라54

외로운친칠라54

강아지 다리에 고름 같은게 생겼는데 이게 뭔가요??

반려동물 종류

강아지

품종

말티푸

성별

암컷

나이 (개월)

1살

몸무게 (kg)

7.5

중성화 수술

1회

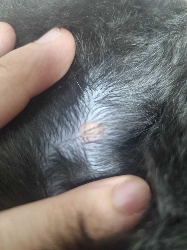
한달 전부터 다리 사진처럼 고름이 났는데 큰일은 아닌거 같아 지켜보는

쪽으로 헤서 병원에 가지 않았는데 한달이 지나도 그대로 있어서 뭔가 여쭤봐요ㅠㅠ

바로 병원에 가봐야할까요? 이게 뭘까요??

3개의 답변이 있어요!

  • 박주찬 수의사

    박주찬 수의사

    프리랜서

    안녕하세요. 박주찬 수의사입니다.

    단순 피지낭종처럼 보입니다.

    강아지가 가렵거나 아파하지 않는다면 그냥 두셔도 되고 혹시나 짜서 배액했다면, 강아지가 핥지 않게

    넥칼라 착용해주시고 후시딘 같은 연고 발라주시기 바랍니다.

  • 안녕하세요. 이은수 수의사입니다.

    사진으로는 구분할 수 없습니다. 고름이 나온다면 그 고름을 짜서 현미경으로 보아야 원인에 대한 추정과 진단을 할 수 있으니 동물병원에 데려가서 진료 받으시고 필요한 치료를 받으시기 바랍니다.

  • 안녕하세요. 이광섭 수의사입니다.

    단순 지방종입니다. 아직 1살이니 악성 종양은 아닙니다. 일종의 여드름같은 것이니 병원에 내원하여 약간의 절제 및 항생제와 소독 처치로 금방 괜찮아질 수 있습니다. 굳이 병원은 안가셔도 자연적으로 없어지는 경우도 있습니다.