안녕하세요. 이경민 수의사입니다.
집 안에 강아지의 알레르기를 유발할 수 있는 요인들이 없는지 확인해보셔야 합니다. (먼지, 음식, 이물, 풀, 벌레 등등)
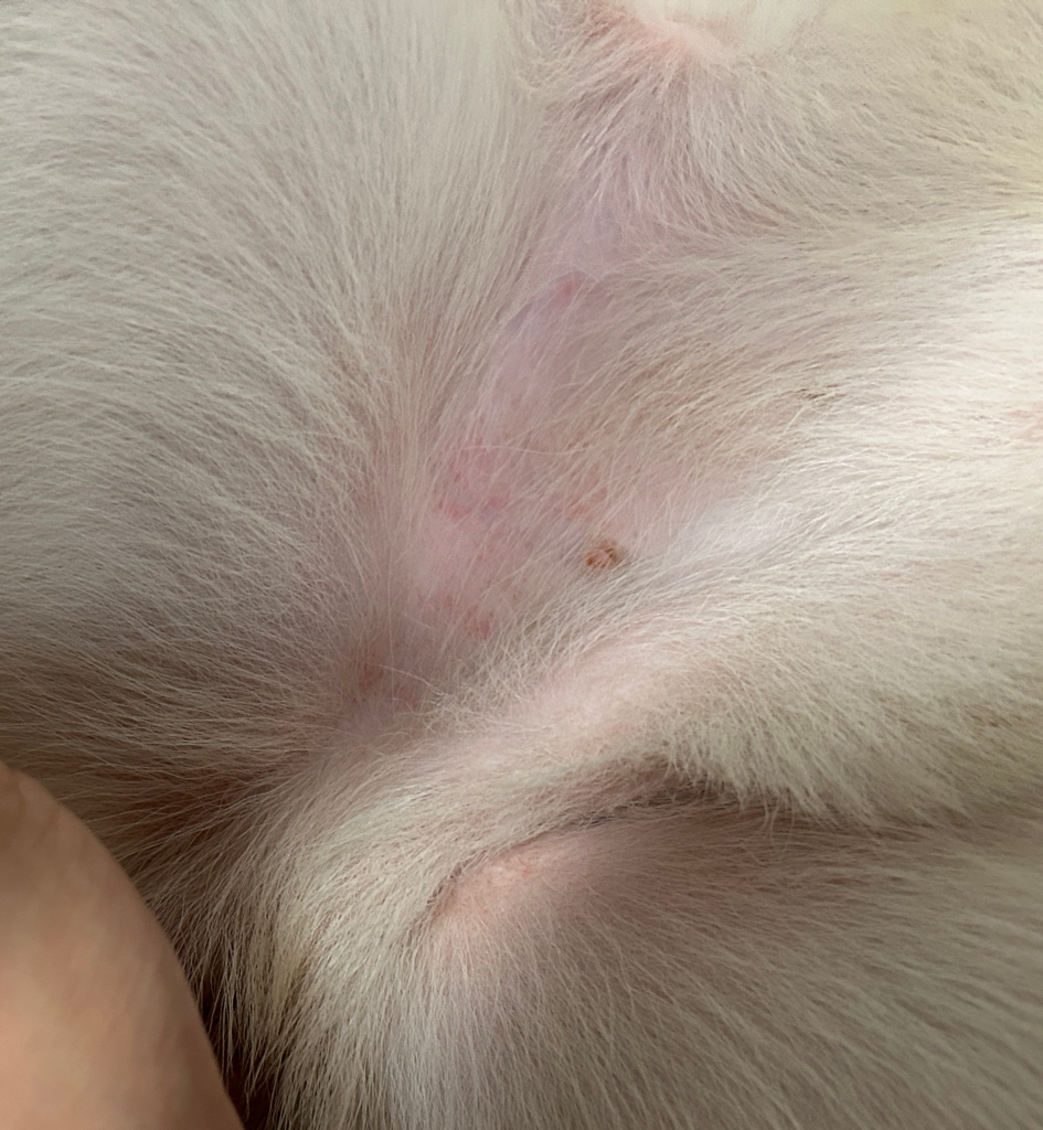
사타구니쪽 발적은 강아지가 핥아서 생길 수도 있습니다.
알레르기의 경우 약물 복용을 하거나, 알러젠 (알레르기를 유발하는 원인체)이 없어진다면
증상이 서서히 가라앉는 것이 일반적입니다.
입 주변, 사타구니의 발적이 오래동안 없어지지 않는다면 피부질환의 가능성도 있습니다.
안녕하세요. 박주찬 수의사입니다.
사진상으로 봤을 때는 약간의 발적이 확인되는 듯 합니다. 발적이 있으면 소양감이 나타날 수 있으니 피부병이 있을 가능성이 높은듯 합니다.
긁지 않더라도 가려우니 혀로 핥거나 그런증상이 나타날 수 있습니다.
발적이 있으며 증상이 있는 경우 병원에서 약 처방 및 주사를 맞으면서 동시에 간식 중단시켜주시고 식이관리를 반드시 시켜주시기 바랍니다.
안녕하세요. 박창석 수의사입니다.
강아지 사진을 보니 심한 것은 아닙니다만 그래도 알러지 반응일 가능성이 많습니다 풀독은 아닌 것 같아요 하루 이틀 더 기다려 보시고 문제가 해결되지 않는다면 다시 동물원에 가셔서 처방을 받아 오시는 것이 좋겠습니다 알러지 반응이라 할지라도 웬만한 것은 몸에서 이겨내기 때문에 서서히 풀어질지도 모릅니다 2~ 3일 기다려 보시면서 상황을 잘 관찰해 보시기 바랍니다
안녕하세요. 이은수 수의사입니다.
얼굴의 부종과 발적이 보여 면여계 관련한 염증반응을 의심할 수 있으며 다리 안쪽 사진은 핥거나 깨무는 등 자해성 반응으로 인한 병변으로 생각됩니다.
하지만 직접 보고 판단했을때는 소견이 달라질 수 있으니 동물병원에 데려가서 진료 받아 보시는걸 추천드립니다.

