반려동물
55글자 더 채워주세요.
3개의 답변이 있어요!
안녕하세요. 이광섭 수의사입니다.
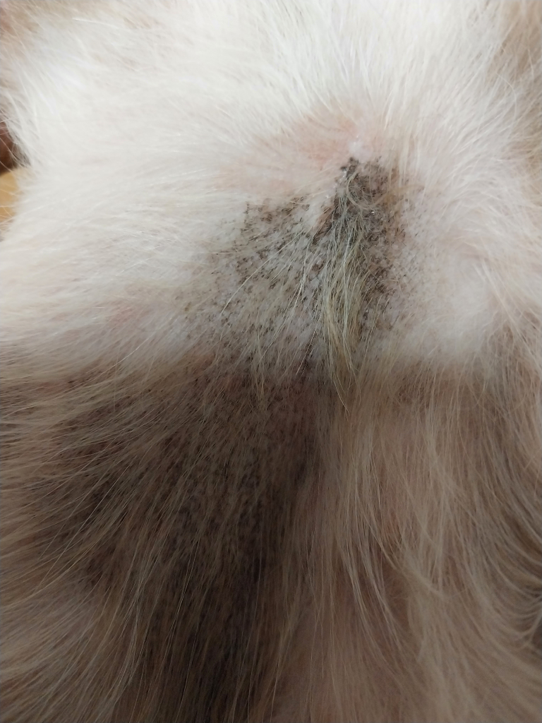
괴사 아닙니다. 멜라닌 세포는 피부를 보호하기 위해 색소를 내뿜습니다. 사람도 햇빛에 오래 노출되면 검게 그을리듯이, 강아지들도 한번 피부에 상처가 나고 병이 났던 부위에 피부 보호를 위해 색소가 침착됩니다. 피부병시 색소침착은 자연스러운 현상이며, 강아지가 핥으면서 생긴 자극이나, 피부 장벽의 약화로 인한 멜라닌세포 침착으로 인한 색소 침착입니다. 너무 걱정 마시기 바랍니다.
1명 평가안녕하세요. 박주찬 수의사입니다.
장기적으로 혹은 만성적으로 피부에 염증이 생긴경우 이렇게 착색이 될 수도 있습니다.
흔히 Hyperpigmentation이라고 합니다.
계속 핥는 다면 약물 치료 및 넥칼라착용 해주시기 바랍니다.
안녕하세요. 이은수 수의사입니다.
괴사 양상의 병변은 아닌것으로 보이나 대사성 질환이나 호르몬성 질환 가능성을 의심해야 하는 소견이니 동물병원에 데려가서 건강검진 받아 보시기 바랍니다.

