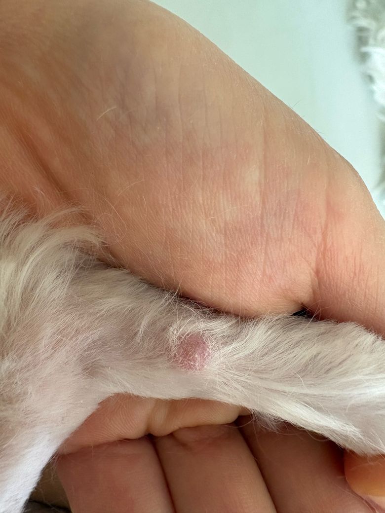
강아지 뒷다리에 검은빛이 도는 혹이 났어요

반려동물 종류

강아지

성별

암컷

강아지 뒷다리에 검은빛이 도는 혹이 났어요.

15살 디스크 있고 중성화 수술은 했어요. 눌렀을 때 아파하진 않아요 사진으론 안 보이는데 실제로 보면검은 빛이 돌아요

1개의 답변이 있어요!

  • 노령견의 뒷다리에 발생한 검은색 종괴는 멜라노마나 혈관육종 같은 악성 종양 혹은 단순한 색소 침착이나 혈종일 가능성이 공존합니다. 15세라는 고령의 나이를 고려할 때 세포의 비정상적인 증식으로 인한 종양 발생 확률이 높으며 통증이 없다고 해서 양성이라고 단정할 수 없습니다. 특히 검은빛이 도는 것은 내부 출혈이나 멜라닌 세포의 변이를 의미하므로 크기가 빠르게 커지거나 모양이 불규칙해진다면 전이 위험을 확인해야 합니다. 육안으로는 정확한 감별이 불가능하므로 동물병원에서 세침 흡인 검사를 통해 종양의 악성 여부를 파악하고 기저 질환인 디스크와의 연관성이나 전신 상태를 점검하는 과정이 필요합니다.