강아지 피부 고름 염증 악취 기름 원인?!

반려동물 종류

강아지

품종

장모치와와

성별

수컷

나이 (개월)

9년

몸무게 (kg)

6

중성화 수술

1회

9살 장모치와와입니다.

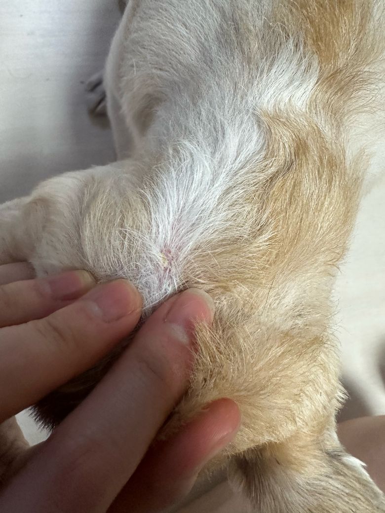
귀에 귀지가 많이 생기는 체질이라고 귀에 염증이 잦아 염증이 생길 때 마다 귀를 너무 긁어서 넥카라를 하는데 넥카라 부분을 자주 핥아서 턱 부분에 염증이 생겨 치료중이였습니다

그런데 그 이후로 목 뒤 부분이나 귀 옆부분에 여드름? 같은 볼록한게 튀어나오고 가끔은 보면 이미 고름이 터져있어 털이 뽑혀 나오기도 하고, 착색이 되어 검정색으로 바뀌어서 고름이 나와있기도 합니다

고름에서 엄청난 악취가 나고 기름?기같이 미끌 거리는 느낌도 나는데 악취가 장난아닙니다

병원에 한번 갈 때 마다 40만원정도 나오는데 샴푸 종류를 3개정도 주시고 일주일에 2번 샤워시키라고 했었는데 낫질 않고 점점 더 심해지는 것 같아요

무슨 피부염인지 말도 안해주시고 그냥 나이들어서 그런거라고 하는데 이게 맞나요??

동물 피부과 병원도 추천해주세요ㅠㅠ 위치는 경기도 부천인데 다소 멀더라도 가볼의향 있습니다

1개의 답변이 있어요!

  • 세균성 화농성 피피염이나 지루성 피부염 혹은 말라세지아 감염이 복합적으로 발생했을 가능성이 매우 높습니다. 아홉 살이라는 노령견의 시기에는 면역력이 떨어지면서 단순한 외이염이 전신 피부 질환으로 확산되기 쉬우며 넥카라 착용으로 인한 습한 환경이 턱과 목 주변의 2차 감염을 유발하여 심한 염증과 색소 침착을 일으킨 것으로 판단됩니다. 병원에서 원인을 정확히 설명하지 않고 나이 탓으로만 돌리는 것은 보호자의 불안감을 해소하기 어려우므로 일반 병원보다는 피부 질환을 전문적으로 다루는 동물병원이나 대학병원급의 진료를 통해 정확한 검사를 받는 것이 필요합니다. 경기도 부천 근처에서는 서울 관악구의 서울대학교 동물병원이나 성남시의 해마루 이차진료 동물병원처럼 분과 진료가 체계적인 곳을 방문하여 피부 소양증의 근본 원인을 파악하고 먹는 약과 외용제를 병행하는 집중 치료를 권장합니다.