아하
  • 토픽

  • 스파링

  • 잉크

  • 미션


살짝쿵손꼽히는진돗개

살짝쿵손꼽히는진돗개

25.04.04

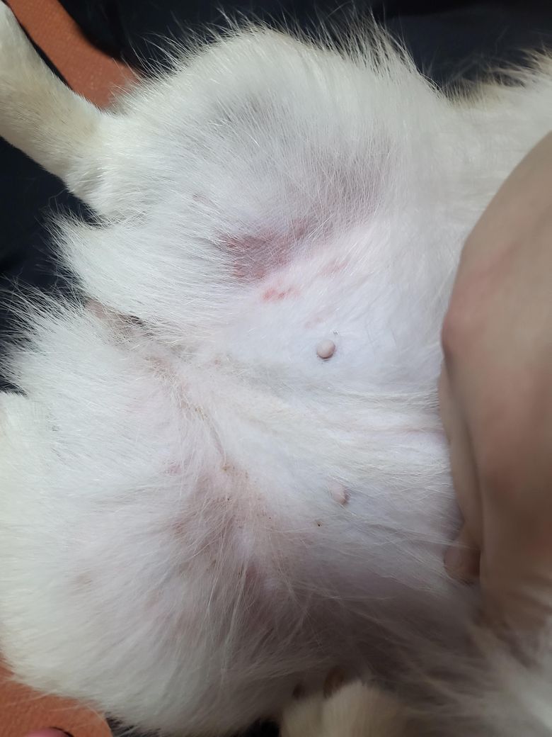
강아지 양 다리 사이에 이런게 났어요ㅠㅠ

반려동물 종류

강아지

품종

믹스견

성별

암컷

나이 (개월)

3

몸무게 (kg)

9

중성화 수술

없음

배쪽 양 다리 사이에 이런게 났는데 이게 뭘까요..??ㅠㅠㅠ 간지러운지 자꾸 긁어요. 발바닥도 빨개요 ㅜㅜ 무슨 문제인지 알 수 있을까요?

1개의 답변이 있어요!

  • 이은수 수의사

    이은수 수의사

    프리랜서

    25.04.04

    안녕하세요. 이은수 수의사입니다.

    사진상으로는 농피증 증상으로 보이며 중성화 수술 하지 않은 암컷의 생식기 주변에서 흔히 나타나는 감염증입니다. 동물병원에 데려가서 진료 받으시고 치료하시기 바랍니다.